ସ୍ମାର୍ଟ ସିଟିରେ ୧୦୦୦ କୋଟି ଖର୍ଚ୍ଚ
ଭୁବନେଶ୍ୱର : ଭୁବନେଶ୍ୱର ସ୍ମାର୍ଟସିଟିରେ ପ୍ରାୟ ୧୦୦୦ କୋଟି ଟଙ୍କା ଖର୍ଚ୍ଚ ହୋଇଥିବାବେଳେ ଏଥିରେ ୨୬ଟି ପ୍ରକଳ୍ପକାର୍ଯ୍ୟ ସମ୍ପୂର୍ଣ୍ଣ ହୋଇଛି । ତେବେ ଏଥିରୁ ଅନେକ ପ୍ରକଳ୍ପରୁ ରାଜଧାନୀବାସୀ ଯେଭଳି ସୁଫଳ ପାଇବାକଥା...
Climate Change Impacts Life
Climate change , the impact of which is now being felt worldwide, has began to affect human health in a big way with extreme...
Workshop On Cyber Awareness
Bhubaneswar: Shri Vinaytosh Mishra, Director General of Police, CID Crime Branch, Odisha has emphasized on the critical role of cyber police in combating these...
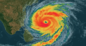
ରାତି ୧୧ ଟାରୁ ୧ଟା ମଧ୍ୟରେ ଲ୍ୟାଣ୍ଡଫଲ୍
ଭୁବନେଶ୍ୱର : ବଙ୍ଗୋପସାଗରରେ ସୃଷ୍ଟି ହୋଇଥିବା ଘୂର୍ଣ୍ଣିଝଡ଼ ’ମୋନ୍ଥା' ଉତର - ଉତରପୂର୍ବ ଗୋପାଳପୁର ଠାରୁ ୫୩୦ କି.ମି ଦୂରରେ ରହିଥିବା ବେଳେ ଏହା ଆନ୍ଧ୍ର ପ୍ରଦେଶ ମୁହାଁ ହୋଇଛି ଏବଂ ମଙ୍ଗଳବାର...
CM: Zero Tolerance On Corruption
Bhubaneswar: Chief Minister Shri Mohan Charan Majhi today addressed the state-level anti-corruption awareness program, declaring that the event was not merely symbolic but a...
Walk Explores Kalinga Gymnasium
Cuttack: Cuttack has been the heart of Odisha for ages. The oldest city of Kalinga Utkal, Cuttack, has preserved and enriched the history, heritage,...
ଜିରୋ କାଜୁଆଲ୍ଟି ଲକ୍ଷ୍ୟ
ଭୁବନେଶ୍ୱର : ମୁଖ୍ୟମନ୍ତ୍ରୀ ଶ୍ରୀ ମୋହନ ଚରଣ ମାଝୀ ଆଜି ଲୋକସେବା ଭବନରେ ବାତ୍ୟା ମୋନ୍ଥାର ମୁକାବିଲା ସମ୍ପର୍କରେ ସମୀକ୍ଷା କରି ଅଧିକାରୀ ମାନଙ୍କୁ ନିର୍ଦ୍ଦେଶ ଦେଇ କହିଛନ୍ତି ଯେ, ପ୍ରତ୍ୟେକ ବିପର୍ଯ୍ୟୟରେ...
ବଜେଟ୍ ଖର୍ଚ୍ଚ ଧିମା
ଭୁବନେଶ୍ୱର : ବଜେଟରେ ବରାଦ ଅର୍ଥ ଖର୍ଚ୍ଚତ ତ୍ୱରାନ୍ୱିତ ପାଇଁ ବିଭାଗଗୁଡିକୁ ବାରମ୍ବାର ତାଗିଦା କରାଯାଉଥିବାବେଳେ ଚଳିତ ଆର୍ଥିକ ବର୍ଷରେ ସେପ୍ଟେମ୍ବର ଶେଷ ସୁଦ୍ଧା ଗୃହ ନିର୍ମାଣ ଓ ନଗର ଉନ୍ନୟନ ବିଭାଗ...
ଚିନ୍ତା ବଢାଉଛି ତାପଜ ପାଉଁଶ
ଭୁବନେଶ୍ୱର : ରାଜ୍ୟରେ ଥିବା ତାପଜ ବିଦ୍ୟୁତ୍ କେନ୍ଦ୍ର ଓ ଅନ୍ୟାନ୍ୟ କଳ କାରଖାନାରୁ ଯେତିକି ପରିମାଣର ପାଉଁଶ ବାହାରୁଛି ତାହା ସମ୍ପୂର୍ଣ୍ଣ ବିନିଯୋଗ ହୋଇପାରୁ ନାହିଁ । ବାହାରୁଥିବା ପାଉଁଶର ସିଂହଭାଗ...
Gurujee Graces Grand Chhath Fest
Gurugram: The grand celebration of the Chhath Festival took place at Sai Ka Aangan in Gurugram, organized by the Bhojpuri Sanskritik Sansthan in partnership...










